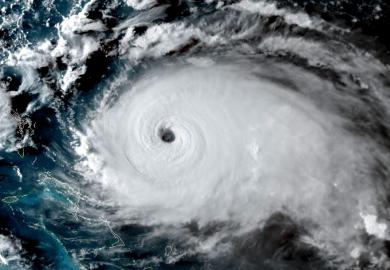
دوليات ارتفاع عدد قتلى الإعصار "دوريان" إلى 43 شخصا توقعات بارتفاع حصيلة الضحايا مع استمرار عمليات البحث والإنقاذ "دوريان الوحش" تشتد قوته... وتأهب تام في باهاماس وفلوريدا الأميركيتين الإعصار دوريان يهدد ولايات جورجيا وساوث ونورث كارولاينا