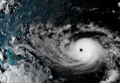
دوليات الإعصار دوريان يخلف أضرارا فادحة في جزر الباهاماس حاكم كارولينا الجنوبية يأمر بإخلاء الساحل في الولاية كلها الاعصار دوريان... قتلى وأوامر إخلاء إلزامية وحال طوارئ